Home
Project Information
Overview
Construction Update
Section RC1
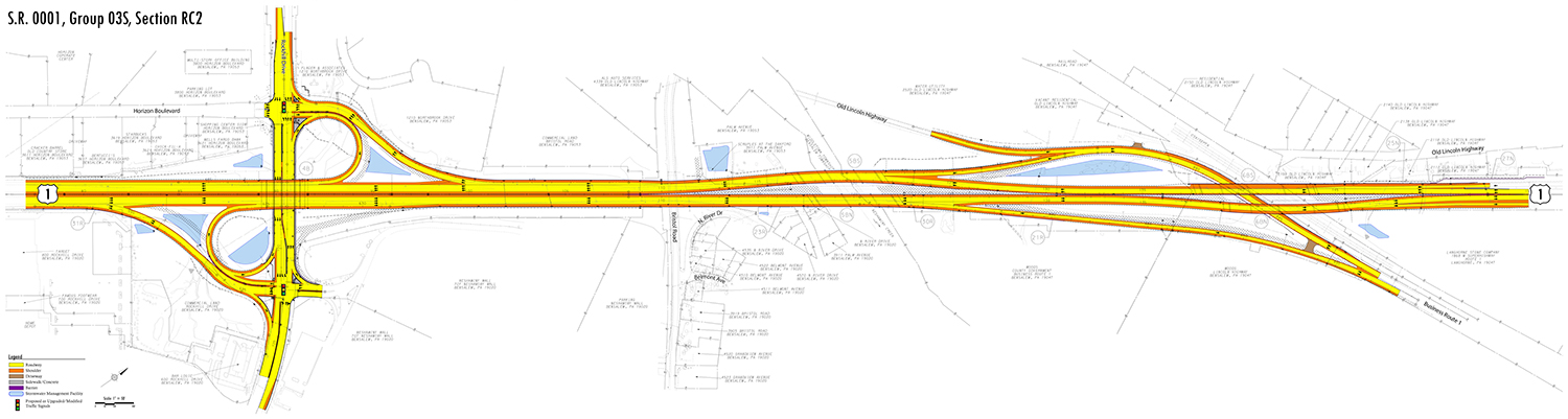
Section RC2
Section RC3
Environmental
Public Meetings
FAQ
Commuting
Travel Advisories
Bucks County MTA
DVRPC Mobility Alternatives
PA 511
NEWS
Maps and Documents
MAPS AND DOCUMENTS
SUBSCRIBE
CONTACT
ENVIRONMENTAL
FAQ
Project Area Map
Section RC1
Section RC2
Section RC3
Overview
Construction Update
Section RC1
Section RC2
Section RC3
Environmental
Public Meetings
FAQ